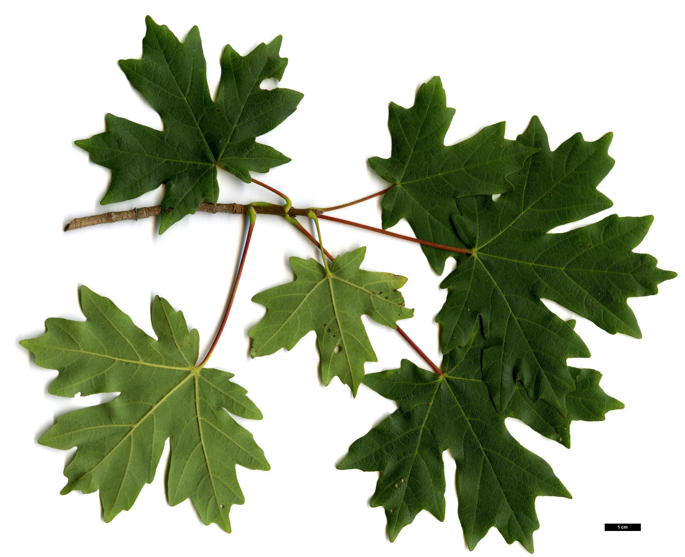
Botanical name:
This image illustrates the Acer key. Acer saccharum subsp. grandidentatum (©JDL014624-AHLE00004150-26.06.2005)
Copyright © 2008–2019 Jan De Langhe. Non-commercial use of material with correctly referencing the name Jan De Langhe and the web address is allowed: http://www.plantentuin.ugent.be
